“Well, that’s about as good as I can make it,” Steve announced.
We stood at the end of the hall in the parsonage where we lived, surveying his handiwork: a fort.
You see, a hurricane was roiling toward all of us who lived in South Florida, the second storm in two weeks.
The first one, named Frances, had torn branches from our trees, ripped numerous shingles off the roof, mangled the screened enclosure and thrown it in the pool.
It could have been so much worse.
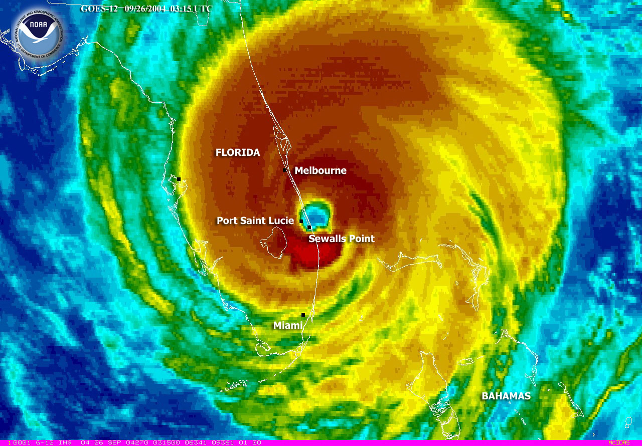
(Jeanne at Landfall. We lived south of the eye–in that bright red area.)
Now we were facing Hurricane Jeanne. We had no idea if Frances had compromised the roof structure, and of course we were among thousands waiting for an inspection to assess such damage.
Because of the uncertainty of our situation, Steve built that fort. He dragged two dressers into the wide area at the end of the hall where doors opened to three bedrooms, two storage closets and a bath. Over the dressers he put two mattresses, and on top of that, two long, folding tables.
He tightly looped rope around all the doorknobs (to help hold them shut) except the door to our bedroom and bath. Then he laced the rope across the dresser-mattress-table structure like a web, and tied it all together snugly.
Now I know why little boys build forts, I thought, so when they grow up they can keep their families safe during a hurricane.
In spite of Steve’s efforts, however, we could not be sure his structure would withstand the pressure of the wind, especially if the roof gave way. And even a well-built fort could not keep out water should flooding become an issue.
But thankfully our fate was not in Steve’s hands, reliant on his fort-building skills (stellar though they be). Our lives were–as they always are–in the sure hands of God.
No, those verses are not meant to imply God’s perfect protection for his people at all times. The historical record and present day tragedies bear out: Many wonderful men, women, and even children have suffered and died through no fault of their own.
However, those of us who have “made the Most High our dwelling,” can be assured of these truths:
- Any number of catastrophes could have overtaken us already, but God has safeguarded us.
For example, if it were not for his providential care I may already have died from:
- Any number of illnesses as a child. Thanks to penicillin and antibiotics I survived.
- Car accidents. At least several times I’ve come that close to a horrific crash.
- Falls from high places. (You can read about one such escapade here.)
No doubt you have your own stories to tell of potentially disastrous circumstances.
2. God always brings good out of distress—beginning with heightened awareness of his presence (Psalm 94:18-19).
Another positive outcome: By the wind of his Spirit, he stirs up the ripple effect of his work in us to impact the lives others.
3. In the context of eternity, our time on earth is no more than a blink.
One day we will be delivered out of this broken world into a place where no harm or disaster will ever occur, all troubles, frustrations, and pain will fade into insignificance.
Such truths gave me comfort that night as I hunkered down in our fort. Wind and rain pounded against the house, sounding like hundreds of stomping feet on gymnasium risers.
Yet I slept.
* * * * * * * * * *
Afterword: Obviously we survived that storm. The roof held firm and we experienced no flooding. Yes, the region was without power again for a number of days, and there was more debris to clean up. But God honored us with his loving protection–again.
(Photo credits: http://www.wikimedia.org; http://www.maxpixel.com; http://www.pixabay.com.)

























